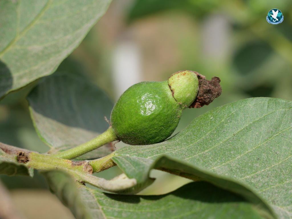
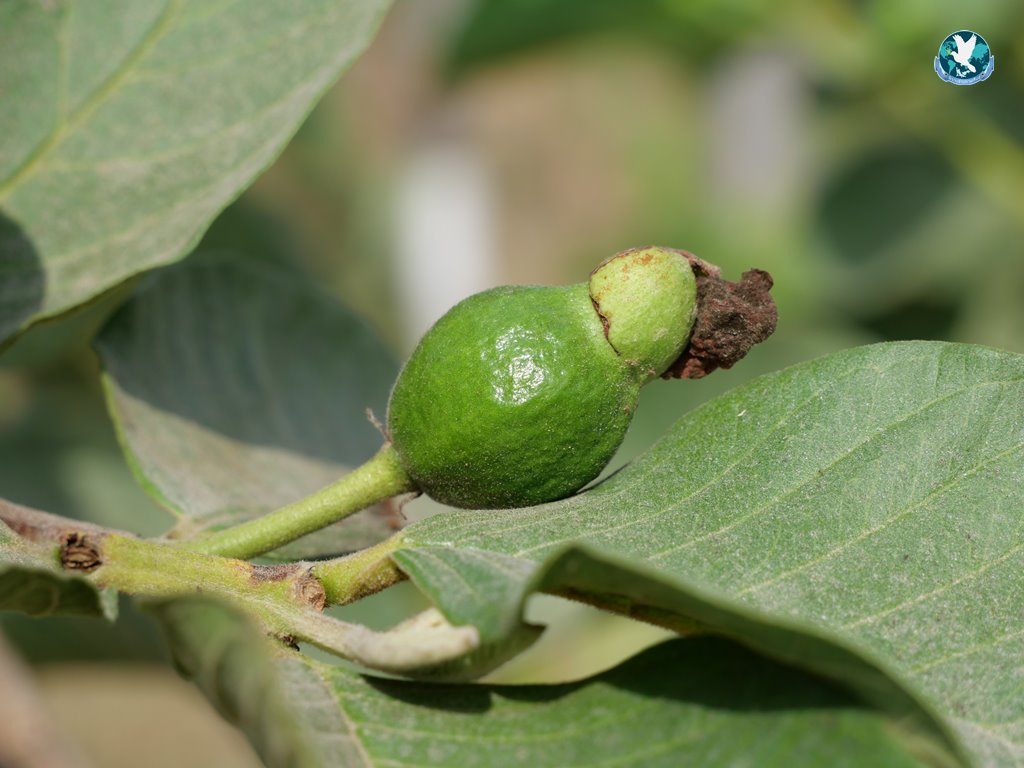
“กาฬสินธุ์ดินดำน้ำสุ่ม ปลากุ่มบ้อนคือแข่แก่งหาง ปลานางบ้อนคือขางฟ้าลั่น จั๊กจั่นฮ้องคือฟ้าล่วงบน แตกจ่น ๆ คนปีบโฮแซว เมืองนี้มีสู่แนวแอ่นระบำรำฟ้อน” เป็นความงดงามของภาษาอีสานที่สื่อให้เห็นความอุดมสมบูรณ์ของจังหวัดกาฬสินธุ์ พบมีว่าที่เศรษฐีหน้าใหม่ที่ไม่รอโชคชะตาจากรางวัลล็อตเตอรี่รางวัลที่ 1 จากสจ๊วตสายการบินไทย ลาออกกลับมาอยู่ที่บ้านกาฬสินธุ์ หันมาศึกษาด้านการเกษตรอย่างจริงจังอยู่กว่า 1 ปี ค้นพบพืชเศรษฐกิจตัวใหม่ “ฝรั่งไส้แดง (ไต้หวัน)” ปลูกแบบเกษตรอินทรีย์ ปลอดสารเคมี 100% โกยเงินรายวันๆ ละกว่า 5 พันบาท
นายธีรวุฒิ ชัยพัฒน์ หรือที่เพื่อนๆ นิยมเรียก “สจ๊วตเอ๋” วัย 55 ปี อดีตพนักงานสายการบินไทย ที่ผันตัวเองมาลุยเป็นเกษตรกรเต็มตัว เปิดเผยกับผู้สื่อข่าวว่า เรียนจบมาเมื่อปี 2532 ก็เข้าทำงานที่การบินไทยเลย ทำงานมากว่า 30 ปี พอมามีสถานการณ์การแพร่ระบาดของโควิด-19 เลยลาออกมาทำการเกษตร เริ่มจากการรับซื้อเม็ดมะรุมมาทำน้ำมะรุมจำหน่าย ส่วนฝรั่งไต้หวันก็เห็นว่าเป็นพันธุ์ไม้ที่อร่อยแล้วให้มูลค่าค่อนข้างสูง และส่วนมากคนก็ไม่ค่อยปลูกแบบอินทรีย์ ประกอบกับแถวนี้มีมูลวัวเยอะ แล้วก็ได้ความรู้จากการไปเข้าโครงการอบรมของ โคก หนอง นา ก็เจอวิทยากรที่ให้ความรู้เกี่ยวกับพวกจุลินทรีย์ต่าง ๆ น้ำหมักต่าง ๆ ก็เลยตัดสินใจไปซื้อต้นฝรั่งจากอัมพวามา จำนวน 500-600 ต้น ราคาต้นละ 120 บาท ได้ต้นพันธุ์ความสูงประมาณ 70-80 ซม. ซึ่งเจ้าของสวนที่ตนซื้อมาได้บอกว่าเมื่อก่อนราคาต้นพันธุ์ต้นละ 500-600 บาทเลยทีเดียว ซึ่งตอนแรกตนเองก็ไม่ได้ปลูกแบบอินทรีย์ ก็เคยใช้สารเคมีมาก่อน แต่พอใช้ไปค่าใช้จ่ายต่าง ค่ายาฆ่าแมลงก็ค่อนข้างสูง แล้วพันธุ์ไม้ก็ตายด้วย เพราะมีโรคต่าง ๆ เข้ามาแรงขึ้นเรื่อย ๆ ต้องเปลี่ยนยาไปเรื่อย ๆ ทำให้สูญเงินไปจำนวนหนึ่ง ก็เลยกลับมาเน้นพวกเกษตรอินทรีย์ 100% ทำน้ำหมักชีวภาพเอง ทำจุลินทรีย์สีแดงสังเคราะห์แสงเอง น้ำหมักจาวปลวก และน้ำหมักปลา ก็โชคดีมีเพื่อนทำงานอยู่โรงงานน้ำปลาร้าแม่บุญล้ำ ก็สามารถสั่งปลาทะเลทีละ 30-40 กก.มาทำน้ำหมักได้ และไปหาซื้อวัตถุดิบตามร้านขายผลไม้ข้างทางพวกสับปะรดภูแลมาหมักเพิ่มความหวาน ทีนี้ผลผลิตที่ได้มามันก็ดีเกินคาด สีสวย รสชาตหวานกรอบ ต้นไม้ก็มีความแข็งแรง อีกทั้งเรายังลงทุนเผาถ่านเองเพื่อเอาน้ำส้มควันไม้ มาใช้ฉีดพ่นป้องกันแมลง ทำให้ไร่ฝรั่งของเราเป็นธรรมชาติมาก”

นายธีรวุฒิ กล่าวเพิ่มเติมว่า “ผลไม้ทุกวันนี้ราคามันน่าจะสูงขึ้น อย่างตอนนี้ราคาฝรั่งที่สวนของตนราคาขายหน้าสวนอยู่ที่ กก.ละ 90 บาท ถ้าอยู่ในห้างจะราคา กก.ละ 120-140 บาท ตอนนี้ผลผลิตยังไม่พอขาย ยังมีออเดอร์ค้างอยู่ แล้วทุกวันนี้ที่ดินก็ราคาแพงขึ้น ค่าแรงแพงขึ้น น้ำหายากขึ้น คนมีความขยันน้อยลง เป็นปัจจัยอย่างหนึ่งถ้าเราเอาชนะ 4 อย่างนี้ได้ก็จะประสบความสำเร็จ ถ้าคุณทำของดี มีแพ็คเก็ตกิ้งสวย มีแบรนด์ ลูกค้าเขาก็จะหยิบสินค้าของคุณ เป็นสิ่งสำคัญ ตนเองจึงใช้แบรนด์ของวนเกษตรบ้านโฮม ซึ่งเป็นแบรนด์ของเพื่อนสมัยเรียนที่ประสบความสำเร็จแล้ว ซึ่งเราทำไม่เยอะแต่เน้นคุณภาพเป็นหลัก ในสวนของเราก็มีอยู่ตอนนี้ประมาณ 600 กว่าต้น โดยจุดเด่นของสวนเราจะทำการเก็บทุก ๆ วัน ไม่เหมือนสวนที่เขาเป็นมืออาชีพที่เขาเก็บทีเดียวพร้อมกันแล้วตัดแต่งกิ่ง อีก 2 เดือนมาห่อ อีก 2 เดือนมาเก็บ ส่วนของเราเก็บทุกวันทุกเช้า อันไหนยังไม่สมบูรณ์เต็มที่เราก็ไม่เก็บ โดยจะทำเครื่องหมายเอาไม้แขวนเสื้อห้อยไว้ตามกิ่ง ให้รู้ว่าพรุ่งนี้ค่อยเก็บนะจะได้กินของอร่อย ๆ หากเป็นส่วนอื่นเขาจะเก็บแล้วส่งไปยังพ่อค้าคนกลางก่อน กว่าจะถึงมือผู้บริโภคก็ใช้เวลา 5-7 วัน เพราะฉะนั้นรสชาตของมันก็จะดร็อปลงไป แต่ของเราเก็บเช้าขายเย็น รสชาตก็จะสดกว่า นี่คือข้อได้เปรียบของสวนเรา ณ ตอนนี้ผลผลิตถ้าเฉลี่ยแล้วจะอยู่ที่ประมาณวันละ 40-50 กก. มีเยอะสุดเมื่อวานนี้เก็บได้ถึง 85 กก. ราคาขายหน้าสวน กก.ละ 90 บาท ส่งกรุงเทพฯ กก.ละ 110 บาท ลูกค้าส่วนมากที่เคยซื้อไม่เคยสั่งโลเดียวเลย เฉลี่ยแล้วจะสั่งคนละประมาณ 5 กก. เพื่อนที่เป็นเจ้าของบริษัทอยู่กรุงเทพฯ ก็ซื้อทีละ 10-20 กก.ไปแจกลูกน้อง ก็เลยมียอดสั่งต่อยอดไปเรื่อย ๆ เพราะคนกินแล้วเขาชอบ จึงเกิดความมั่นใจว่าต่อไปอาจจะมีการขยายแปลงการปลูกในช่วงหน้าฝน ถ้าใครสนใจอยากจะปลูกก็มาศึกษาดูงานได้ ขอให้มีความตั้งใจจริงและทำตามในสิ่งที่บอก มันไม่น้อยเกินไปไม่มากเกินไปมันก็จะพอดี ถ้าน้อยไปมันก็จะขาด ถ้ามากไปมันก็จะเกิน ทุกอย่างมันต้องพอดีหมดมันก็จะเกิดความลงตัว มีอะไรจะสอบถามก็ทักมาในเพจ “วนเกษตรบ้านโฮม” ได้ตลอด อาจจะตอบช้าหน่อยแต่ก็จะตอบให้”

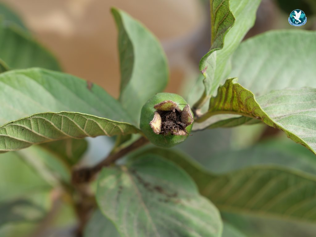
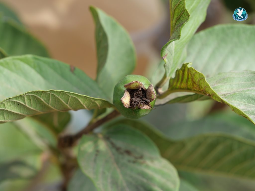
สจ๊วตเอ๋ ยังบอกอีกว่า เราปลูกแบบเกษตรอินทรีย์ ปลอดสารเคมีจริงๆ ยืนยันได้ตามภาพที่เห็น ที่มีนกมาทำรังจนออกไข่เป็นตัวลูกนก แสดงให้เห็นว่าในสวนฝรั่งของเรา ปลอดภัย ปลอดสาร เป็นธรรมชาติสีเขียว จนมีสัตว์เล็กอย่างนก มาทำรังบนต้นฝรั่งของเราให้เห็น
สวนฝรั่งไส้แดง มะละกอฮอลแลนด์ วนเกษตรบ้านโฮม จำหน่าย ฝรั่งไส้แดง (ไต้หวัน) สดๆ จากสวนพร้อมรับประทาน ปลอดสารเคมี ปลูกแบบเกษตรอินทรีย์ และยังมีมะละกอฮอลแลนด์ จุดเด่นคือมีเนื้อสีส้ม เนื้อหนาละเอียด เมล็ดน้อย รสชาตหวานหอม จำหน่ายในราคา กก.ละ 60 บาท สอบถามข้อมูลเพิ่มเติมได้ที่ 084 662 0006 หรือที่เฟสบุ๊ก “วนเกษตรบ้านโฮม” หากท่านใดสนใจอยากได้ความรู้ก็สามารถแวะมาดูที่สวนของเราได้ตลอด อยู่ข้างปั๊มน้ำมันคาเท็ก บริษัท เค.ซี. คอร์ปอเรชั่น
ตระกูล ภูพวงเพชร /รายงาน
www.kalasinnews.com



































